Miasto Ostrów Mazowiecka

3 Maja 66

07-300 Ostrów Mazowiecka

 

Zaproszenie do składania ofert

Wartość zamówienia nie przekracza wyrażonej w złotych równowartości kwoty 30.000 euro. Do niniejszego postepowania nie stosuje się przepisów ustawy z dnia 29 stycznia 2004r. Prawo Zamówień Publicznych (Dz.U. z 2013r., poz. 907 z późn. zm.) - art. 4 pkt 8

 

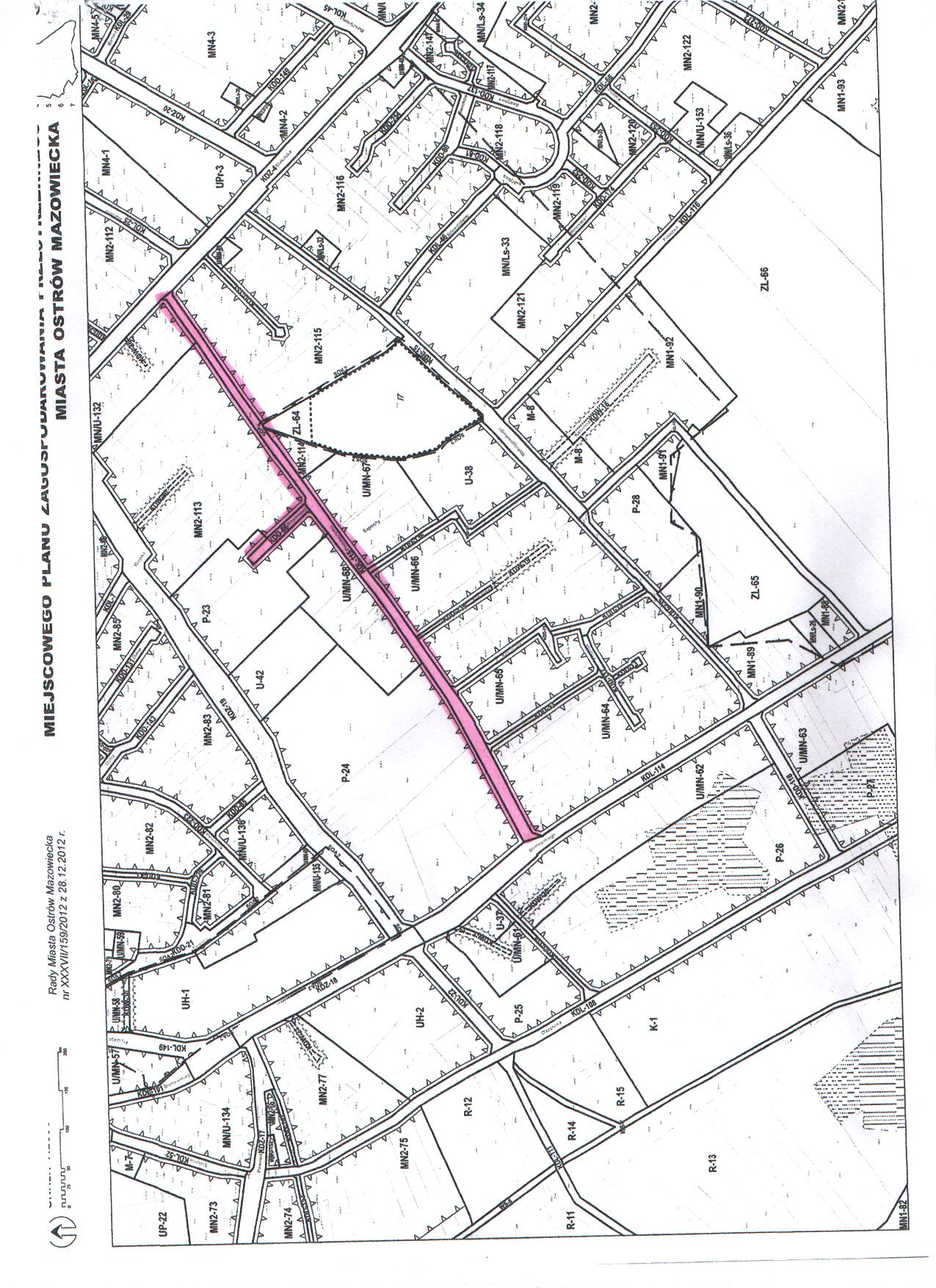
Miasto Ostrów Mazowiecka zaprasza do udziału w postępowaniu prowadzonym w trybie zapytania ofertowego na: Opracowanie kompletnej dokumentacji projektowej i kosztorysowej przygotowanej do uzyskania prawomocnej decyzji ZRID (Zezwolenia na realizację inwestycji drogowej), przebudowy ulic: Podstoczysko od ulicy Broniewskiego do ulicy Małkińskiej, wraz z ulicą Witaminową oraz na budowę kanalizacji sanitarnej i deszczowej.

I. Szczegółowy opis przedmiotu i zakres zamówienia:

1. W zakresie przedmiotu zamówienia należy Opracować kompletną dokumentację projektową i kosztorysową przygotowaną  do uzyskania prawomocnej decyzji ZRID (Zezwolenia na realizację inwestycji drogowej), przebudowy ulic: Podstoczysko od ulicy Broniewskiego do ulicy Małkińskiej, wraz z ulicą Witaminową (zgodnie z załączonym schematem) oraz na budowę kanalizacji sanitarnej i deszczowej.

2. Dokumentacja projektowa powinna uwzględniać:

  1. zaznaczenie granic pasa drogowego (zgodnie z własnościami Miasta Ostrów Mazowiecka) i projektowanie w tych granicach,
  2. zaprojektowanie jezdni,
  3. zaprojektowanie chodników i zjazdów,
  4. uwzględnienie przy przebudowie wszystkich wlotów ulic,
  5. wykonanie geometrii ulic zgodnie z postanowieniami obowiązującego Miejscowego Planu Zagospodarowania Przestrzennego w Ostrowi Mazowieckiej,
  6. przebudowę infrastruktury technicznej tj.: zaprojektować rozwiązanie kanalizacji sanitarnej wzdłuż całej ulicy i kanalizacji deszczowej wraz z całą infrastrukturą (odprowadzenie wody deszczowej z ul. Podstoczysko poprzez ul. Witaminową i działki nr 5402 oraz 3608), przebudowę sieci gazowej, wodociągowej, elektrycznej i teletechnicznej, przewidując regulacje istniejących urządzeń podziemnych.

3. Dokumentacja powinna zawierać:

1) projekty budowlano – wykonawcze:

  1. branża drogowa- (6 egz.),
  2. branża sanitarna- (6 egz.),
  3. branża elektryczna wraz z oświetleniem-(6 egz.),
  4. branża teletechniczna (w razie konieczności) - (6 egz.).

2) projekt stałej organizacji ruchu- 4 egz.,

3) kosztorysy ofertowe (na poszczególne branże) - 1 egz.,

4) kosztorysy inwestorskie (na poszczególne branże) - 1 egz.,

5) specyfikacje techniczne wykonania i odbioru robót budowlanych (na poszczególne branże) - 1 egz.,

6) informacje BiOZ – 2 egz.,

7) operat wodno prawny – 2 egz.,

8) dokumentacja geologiczna – 2 egz.,

9) mapę do celów projektowych,

10) mapę ewidencyjną z oznaczeniem zakresu robót i wykazem właścicieli nieruchomości z naniesioną (na czerwono) zajętością terenu pod projektowaną drogę,

11) wykonanie dokumentacji geodezyjnej w zakresie przygotowania do uregulowania stanu prawnego gruntów tj.: Wydzielenia pasa drogowego, dokonania podziałów geodezyjnych,

12) uwzględnienie wycinki drzew kolidujących z uzyskaniem wymaganych parametrów drogi lub ich zabezpieczenie,

13) wymagane opinie, ekspertyzy, uzgodnienia właściwych organów, pozwolenia wodno-prawne, opracowanie materiałów oraz złożenie wniosku o wydanie decyzji środowiskowej i raportu (jeżeli będzie wymagany) i inne uzgodnienia niezbędne do uzyskania decyzji administracyjnych oraz warunki techniczne wymagane do wydania pozwolenia na budowę,

14) inne opracowania niezbędne do uzyskania rezultatu umowy.

4. Zamawiający wymaga żeby:

  1. dokumentacja była sporządzona i przekazana w formie papierowej oraz w wersji elektronicznej na płycie CD - część opisowa, rysunki w formacje PDF, kosztorysy w formie edytowalnej,
  2. dokumentacja stanowiąca przedmiot umowy była zaopatrzona w wykaz opracowań oraz pisemne oświadczenie Wykonawcy, że jest wykonana zgodnie z umową, obowiązującymi przepisami oraz normami i że zostaje wydana w stanie kompletnym z punktu widzenia celu, któremu ma służyć,
  3. Wykaz opracowań oraz pisemne oświadczenie, o którym mowa wyżej stanowiły integralną część przedmiotu odbioru,

5. Obowiązki Wykonawcy są określone szczegółowo w projekcie umowy (Załącznik nr 3).

Uwaga!

Przed rozpoczęciem prac projektowych Wykonawca uzgodni z Zamawiającym proponowany przedmiot zamówienia w zakresie przebiegu ulicy, konstrukcji nawierzchni, zakresu projektowania koniecznych sieci i przyłączy oraz przebudowy ewentualnych kolizji.

Kosztorysy inwestorskie należy opracować w oparciu o:

Rozporządzenie Ministra Infrastruktury z dnia 18 maja 2004r. w sprawie określenia metod i podstaw sporządzenia kosztorysu inwestorskiego, obliczania planowanych kosztów prac projektowych oraz planowanych kosztów robót budowlanych określonych w programie funkcjonalno-użytkowym (Dz. U. z dnia 8 czerwca 2004 r. Nr 130, poz. 1389).

Dokumentacją projektową oraz kosztorysy nakładcze należy opracować zgodnie z rozporządzeniem Ministra Infrastruktury z dnia 2 września 2004 r. w sprawie szczegółowego zakresu i formy dokumentacji projektowej, specyfikacji technicznych wykonania i odbioru robót budowlanych oraz programu funkcjonalno-użytkowego – (t.j. Dz.U. z 2013r., poz. 1129).

Szczegółowe specyfikacje techniczne wykonania i odbioru robót budowlanych powinny zawierać zbiory wymagań, które są niezbędne do określenia standardu i jakości wykonania robót budowlanych, właściwości wyrobów budowlanych oraz oceny prawidłowości wykonania poszczególnych robót.

Specyfikacje techniczne wykonania i odbioru robót należy opracować w oparciu o Rozporządzenie w sprawie szczegółowego zakresu i formy dokumentacji projektowej, specyfikacji technicznych wykonania i odbioru robót budowlanych oraz programu funkcjonalno-użytkowego.

II. Warunki udziału w postępowaniu

Wykonawcy ubiegający się o udzielenie zamówienia publicznego muszą dysponować osobami zdolnymi do wykonywania zamówienia:

Zamawiający wymaga dysponowania projektantami branży drogowej, sanitarnej, teletechnicznej i elektrycznej zgodnie z ustawą z dnia 7 lipca 1994 r. Prawo Budowlane (t.j.: Dz.U.z 2013, poz.1409 z późn. zm.) oraz Rozporządzeniem Ministra Transportu i Budownictwa z dnia 11 września 2014r. w sprawie samodzielnych funkcji technicznych w budownictwie (Dz.U. poz. 1278 z późn. zm) wraz z opłaconymi składkami ubezpieczenia we właściwej Izbie Samorządu Zawodowego.

Zamawiający określając wymogi dla osób w zakresie posiadanych uprawnień budowlanych dopuszcza odpowiadające im uprawnienia budowlane, które zostały wydane na podstawie wcześniej obowiązujących przepisów lub odpowiadające im kwalifikacje zawodowe uprawniające do projektowania w danej specjalności nabyte w państwach członkowskich Unii Europejskiej, Konfederacji Szwajcarskiej oraz w państwach Europejskiego Obszaru Gospodarczego, stosownie do przepisu art. 12 a ustawy Prawo budowlane oraz przepisów ustawy o zasadach uznawania kwalifikacji zawodowych nabytych w państwach członkowskich Unii Europejskiej (Dz.U. z 2008 r., Nr 63, poz. 394).

Na etapie składania ofert weryfikacja powyższego warunku nastąpi na podstawie oświadczenia (Zał. Nr 2). Przed podpisaniem umowy wybrany Wykonawca przedstawi kserokopie dokumentów (poświadczone za zgodność z oryginałem własnoręcznym podpisem Wykonawcy) potwierdzające spełnienie warunku dysponowania projektantami branży drogowej, sanitarnej, teletechnicznej i elektrycznej wraz z opłaconymi składkami ubezpieczenia we właściwej Izbie Samorządu Zawodowego.

III. Termin wykonania zamówienia: 11.12.2015r.

IV. Warunki płatności: przelew 21 dni, od wpływu prawidłowo wystawionej faktury.

V. Kryteria oceny ofert:

Zamawiający dokona oceny ważnych ofert na podstawie następujących kryteriów: Najniższa cena=100%.

VI. Przygotowanie i złożenie oferty:

Ofertę należy złożyć w formie pisemnej (osobiście, listem – liczy się data wpływu do Urzędu Miasta) w siedzibie Zamawiającego (Kancelaria Urzędu Miasta) na formularzu ofertyzałącznik nr 1 do zapytania. Do formularza należy dołączyć:

  1. Oświadczenie o spełnianiu warunków udziału w postępowaniu (Zał. Nr2) (w szczególności dysponowaniu projektantami branży drogowej, sanitarnej, teletechnicznej i elektrycznej zgodnie z ustawą Prawo Budowlane oraz Rozporządzeniem Ministra Transportu i Budownictwa w sprawie samodzielnych funkcji technicznych w budownictwie wraz z opłaconymi składkami ubezpieczenia we właściwej Izbie Samorządu Zawodowego.

Oferta powinna być opakowana w jednej kopercie zaadresowanej na Zamawiającego i opatrzonej napisem: „Opracowanie kompletnej dokumentacji projektowej i kosztorysowej przygotowanej do uzyskania prawomocnej decyzji ZRID przebudowy ulic: Podstoczysko od ulicy Broniewskiego do ulicy Małkińskiej, wraz z ulicą Witaminową oraz na budowę kanalizacji sanitarnej i deszczowej.”

(Prosimy nie zamieszczać na kopercie nazwy i adresu Wykonawcy).

Oferty należy składać do dnia 30.06.2015r. do godz. 11.00.

VII. Termin i miejsce otwarcia ofert:

Otwarcie ofert nastąpi w dniu 30.06.2015r. o godz. 11.15, pok. Nr 103.

VIII. Kontakt z Wykonawcą:

Osobami upoważnionymi do kontaktu z Wykonawcami jest:

  1. w zakresie merytorycznym: Pan Paweł Mieczkowski, tel. (29)679-54-61
  2. w zakresie formalnym: Pani Marzena Grabowska, Pan Michał Kazimierski, tel.(29)679-54-33, zzp@ostrowmaz.pl

Zamawiający zastrzega sobie prawo do unieważnienia postępowania bez podania przyczyn. Z tego tytułu Wykonawcy nie przysługują żadne roszczenia. Zamawiający zastrzega sobie prawo zmiany treści niniejszego ogłoszenia (w tym zmiany terminu składania ofert) z uzasadnionych przyczyn (Wykonawca powinien regularnie odwiedzać niniejszą stronę BIP). Miasto Ostrów Mazowiecka nie może być pociągnięte do odpowiedzialności za jakiekolwiek koszty czy wydatki poniesione przez wykonawców w związku z przygotowaniem  i dostarczeniem oferty.

Załączniki:

1. Ogłoszenie o zapytaniu ofertowym (PDF)

2. Formularz Oferty (DOC, PDF)

3. Oświadczenie (DOC, PDF)

4. Wzór Umowy PDF

5. Szkic z lokalizacją proponowanej budowy PDF


Ostrów Mazowiecka, dnia 25.06.2015r.

ODPOWIEDZI NA ZAPYTANIA WYKONAWCÓW

Szanowni Państwo!

Uprzejmie informujemy, iż w dniach 23-24.06.2015r. do Zamawiającego wpłynęły zapytania do treści ogłoszenia o zamówieniu w postępowaniu prowadzonym w trybie zapytania ofertowego na: Opracowanie kompletnej dokumentacji projektowej i kosztorysowej przygotowanej do uzyskania prawomocnej decyzji ZRID (Zezwolenia na realizację inwestycji drogowej), przebudowy ulic: Podstoczysko od ulicy Broniewskiego do ulicy Małkińskiej, wraz z ulicą Witaminową oraz na budowę kanalizacji sanitarnej i deszczowej.

1. Podany w zapytaniu termin wykonania dokumentacji wraz z przekazaniem prawomocnego postanowienia ZRID to 11.12.2015 roku. Podany termin jest terminem nierealnym do wykonania dokumentacji i uzyskania prawomocnego postanowienia ZRID. Uprawomocnienie się postanowienia do 30 dni, a termin na wydanie postanowienia ZRID to maksymalnie 90 dni, co daje łącznie 120 dni. Z powyższego wynika, iż ostateczny termin złożenia gotowej dokumentacji na ZRID ze wszystkimi uzgodnieniami, pozwoleniami, etc. to 11.08.2015 rok. Jeżeli jestem w błędzie to proszę o korektę, jeżeli nie, to proszę o zmianę terminu określonego w zapytaniu.

2. Proszę o wskazanie ilości działek do podziału

3. Zgodnie z informacjami w zaproszeniu do składania ofert, wody opadowe mają zostać odprowadzone poprzez działkę nr 3608 do istniejącego cieku wodnego. Kto jest właścicielem w/w działki, oraz czy jest jakieś wstępne uzgodnienie na możliwość odprowadzenia wód do tego cieku wodnego?

4. Gdzie należy włączyć kanalizację sanitarną? Czy będzie konieczna budowa przepompownia ścieków?

5. Czy projektowane oświetlenie ma zostać podłączone do istniejącego (rozbudowa) czy ma zostać zaprojektowana nowa sieć oświetleniowa wraz z nową szafką?

6. Czy teren ten objęty jest ochroną konserwatorską lub ochroną przyrodniczą (Natura 2000)?

Odpowiedzi Zamawiającego:

Ad. 1

Wskazane terminy są terminami maksymalnymi, Zamawiający zakłada że terminy konieczne do wydanie decyzji ZRID będą krótsze, jeżeli jednak Wykonawca wykaże że dochował należytej staranności w uzyskaniu poszczególnych decyzji czy uzgodnień, a czas ich uzyskania przekracza dopuszczalny okres, Zamawiający zakłada możliwość aneksowania terminu wykonania przedmiotu umowy o tą różnicę czasu.

Ad. 2

Zamawiający nie posiada dokumentacji ani koncepcji przebiegu ul. Podstoczysko, dokumenty te mają zostać opracowane przez Wykonawcę i na ich podstawie będzie możliwość szczegółowego określenia ilości działek do podziału. Obecnie na podstawie posiadanych przez Zamawiającego dokumentów szacuje się że będzie to osiem działek.

Ad. 3

Zamawiający poczynił wstępne uzgodnienia z Właścicielami działek 5402 i 3608 dotyczące odprowadzenia przez te działki wody deszczowej.

Ad. 4

Nowoprojektowaną sieć kanalizacji sanitarnej Projektant zaprojektuje i wepnie w istniejący kolektor zgodnie z warunkami technicznymi wydanymi przez miejscowy ZGK Sp. z o.o. Zamawiający zakłada że będzie to kolektor kanalizacji sanitarnej w ul. Broniewskiego. Analizując rzędne terenu zamawiający zakłada, że budowa przepompowni ścieków która, umożliwiła by przetłoczenie ścieków do kolektora zbiorczego nie będzie wymagane.

Ad. 5

Zamawiający zakłada rozbudowę i modernizację wzdłuż ul. Podstoczysko istniejącego oświetlenia.

Ad. 6

Nie.

Wytworzył:
Jerzy Bauer
(2015-06-22)
Udostępnił:
Kazimierski Michał
(2015-06-22 11:27:13)
Ostatnio zmodyfikował:
Kazimierski Michał
(2015-06-25 16:22:23)
       DRUKUJ TĘ STRONĘ Obrazek drukarki