Miasto Ostrów Mazowiecka

3 Maja 66

07-300 Ostrów Mazowiecka

Zaproszenie do składania ofert

Wartość zamówienia nie przekracza wyrażonej w złotych równowartości kwoty 30.000 euro. Do niniejszego postepowania nie stosuje się przepisów ustawy z dnia 29 stycznia 2004r. Prawo Zamówień Publicznych (Dz.U. z 2013r., poz. 907 z późn. zm.) - art. 4 pkt 8

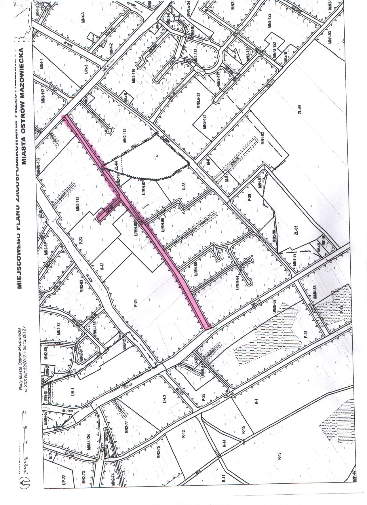
Miasto Ostrów Mazowiecka zaprasza do udziału w postępowaniu prowadzonym w trybie zapytania ofertowego na: Opracowanie kompletnej dokumentacji projektowej i kosztorysowej przygotowanej do uzyskania prawomocnej decyzji ZRID (Zezwolenia na realizację inwestycji drogowej), przebudowy ulic: Podstoczysko od ulicy Broniewskiego do ulicy Małkińskiej, wraz z ulicą Witaminową oraz na budowę kanalizacji sanitarnej i deszczowej.

I. Szczegółowy opis przedmiotu i zakres zamówienia:

1. W zakresie przedmiotu zamówienia należy Opracować kompletną dokumentację projektową i kosztorysową przygotowaną  do uzyskania prawomocnej decyzji ZRID (Zezwolenia na realizację inwestycji drogowej), przebudowy ulic: Podstoczysko od ulicy Broniewskiego do ulicy Małkińskiej, wraz z ulicą Witaminową (zgodnie z załączonym schematem) oraz na budowę kanalizacji sanitarnej i deszczowej.

2. Dokumentacja projektowa powinna uwzględniać:

  1. zaznaczenie granic pasa drogowego (zgodnie z własnościami Miasta Ostrów Mazowiecka) i projektowanie w tych granicach,
  2. zaprojektowanie jezdni,
  3. zaprojektowanie chodników i zjazdów,
  4. uwzględnienie przy przebudowie wszystkich wlotów ulic,
  5. zaprojektować sieć kanalizacji sanitarnej wzdłuż całej ulicy Podstoczysko (Wykonawca uzgodni z Właścicielami poszczególnych posesji umiejscowienie studni kanalizacyjnej w ulicy naprzeciwko budynku przyłączanego/działki. Lokalizacja jak i posadowienie wysokościowe projektowanych rurociągów powinny być uwarunkowane przebiegiem istniejącego uzbrojenia terenu, przeliczeniem spadków, przekroczeniem przeszkód terenowych, ukształtowaniem terenu)
  6. zaprojektować sieć kanalizacji deszczowej wraz z całą infrastrukturą (na odcinku ul. Małkińska okolice ul. Witaminowej odprowadzenie wody deszczowej z ul. Podstoczysko poprzez ul. Witaminową i działki nr 5402 oraz 3608, pozostały odcinek do ul. Broniewskiego odprowadzenie wody deszczowej do kanału przecinającego ul. Brokowską),
  7. przebudowę infrastruktury technicznej tj.: zaprojektować przebudowę sieci gazowej, wodociągowej, elektrycznej i teletechnicznej, przewidując regulacje istniejących urządzeń podziemnych.

3. Dokumentacja powinna zawierać:

1) projekty budowlano – wykonawcze:

  1. branża drogowa- (6 egz.),
  2. branża sanitarna- (6 egz.),
  3. branża elektryczna wraz z oświetleniem-(6 egz.),
  4. branża teletechniczna (w razie konieczności) - (6 egz.).

2) projekt stałej organizacji ruchu- 4 egz.,

3) kosztorysy ofertowe (na poszczególne branże) - 1 egz.,

4) kosztorysy inwestorskie (na poszczególne branże) - 1 egz.,

5) specyfikacje techniczne wykonania i odbioru robót budowlanych (na poszczególne branże) - 1 egz.,

6) informacje BiOZ – 2 egz.,

7) operat wodno prawny – 2 egz.,

8) dokumentacja geologiczna – 2 egz.,

9) mapę do celów projektowych,

10) mapę ewidencyjną z oznaczeniem zakresu robót i wykazem właścicieli nieruchomości z naniesioną (na czerwono) zajętością terenu pod projektowaną drogę,

11) wykonanie dokumentacji geodezyjnej w zakresie przygotowania do uregulowania stanu prawnego gruntów tj.: wydzielenia pasa drogowego, dokonania podziałów geodezyjnych(szacowana ilość podziałów działek ewidencyjnych–2 szt.),

12) uwzględnienie wycinki drzew kolidujących z uzyskaniem wymaganych parametrów drogi lub ich zabezpieczenia,

13) wymagane opinie, ekspertyzy, uzgodnienia właściwych organów, pozwolenia wodno-prawne, opracowanie materiałów oraz przeprowadzenie procedury oceny oddziaływania przedsięwzięcia na środowisko i uzyskanie stosownej decyzji środowiskowej, ewentualne opracowanie raportu oddziaływania na środowisko (jeżeli będzie wymagany) i inne niezbędne do uzyskania decyzji administracyjnych oraz warunki techniczne wymagane do wydania pozwolenia na budowę,

14) inne opracowania niezbędne do uzyskania rezultatu umowy.

4. Zamawiający wymaga żeby:

  1. dokumentacja była sporządzona i przekazana w formie papierowej oraz w wersji elektronicznej na płycie CD - część opisowa, rysunki w formacje PDF, kosztorysy w formie edytowalnej,
  2. dokumentacja stanowiąca przedmiot umowy była zaopatrzona w wykaz opracowań oraz pisemne oświadczenie Wykonawcy, że jest wykonana zgodnie z umową, obowiązującymi przepisami oraz normami i że zostaje wydana w stanie kompletnym z punktu widzenia celu, któremu ma służyć,
  3. Wykaz opracowań oraz pisemne oświadczenie, o którym mowa wyżej stanowiły integralną część przedmiotu odbioru,

5. Obowiązki Wykonawcy są określone szczegółowo w projekcie umowy (Załącznik nr 3).

Uwaga!

Przed rozpoczęciem prac projektowych Wykonawca uzgodni z Zamawiającym proponowany przedmiot zamówienia w zakresie przebiegu ulicy, konstrukcji nawierzchni, zakresu projektowania koniecznych sieci i przyłączy oraz przebudowy ewentualnych kolizji.

Kosztorysy inwestorskie należy opracować w oparciu o:

Rozporządzenie Ministra Infrastruktury z dnia 18 maja 2004r. w sprawie określenia metod i podstaw sporządzenia kosztorysu inwestorskiego, obliczania planowanych kosztów prac projektowych oraz planowanych kosztów robót budowlanych określonych w programie funkcjonalno-użytkowym (Dz. U. z dnia 8 czerwca 2004 r. Nr 130, poz. 1389).

Dokumentacją projektową oraz kosztorysy nakładcze należy opracować zgodnie z rozporządzeniem Ministra Infrastruktury z dnia 2 września 2004 r. w sprawie szczegółowego zakresu i formy dokumentacji projektowej, specyfikacji technicznych wykonania i odbioru robót budowlanych oraz programu funkcjonalno-użytkowego – (t.j. Dz.U. z 2013r., poz. 1129).

Szczegółowe specyfikacje techniczne wykonania i odbioru robót budowlanych powinny zawierać zbiory wymagań, które są niezbędne do określenia standardu i jakości wykonania robót budowlanych, właściwości wyrobów budowlanych oraz oceny prawidłowości wykonania poszczególnych robót.

Specyfikacje techniczne wykonania i odbioru robót należy opracować w oparciu o Rozporządzenie w sprawie szczegółowego zakresu i formy dokumentacji projektowej, specyfikacji technicznych wykonania i odbioru robót budowlanych oraz programu funkcjonalno-użytkowego.

II. Warunki udziału w postępowaniu

Wykonawcy ubiegający się o udzielenie zamówienia publicznego muszą dysponować osobami zdolnymi do wykonywania zamówienia:

Zamawiający wymaga dysponowania projektantami branży drogowej, sanitarnej, teletechnicznej i elektrycznej zgodnie z ustawą z dnia 7 lipca 1994 r. Prawo Budowlane (t.j.: Dz.U.z 2013, poz.1409 z późn. zm.) oraz Rozporządzeniem Ministra Transportu i Budownictwa z dnia 11 września 2014r. w sprawie samodzielnych funkcji technicznych w budownictwie (Dz.U. poz. 1278 z późn. zm) wraz z opłaconymi składkami ubezpieczenia we właściwej Izbie Samorządu Zawodowego.

Zamawiający określając wymogi dla osób w zakresie posiadanych uprawnień budowlanych dopuszcza odpowiadające im uprawnienia budowlane, które zostały wydane na podstawie wcześniej obowiązujących przepisów lub odpowiadające im kwalifikacje zawodowe uprawniające do projektowania w danej specjalności nabyte w państwach członkowskich Unii Europejskiej, Konfederacji Szwajcarskiej oraz w państwach Europejskiego Obszaru Gospodarczego, stosownie do przepisu art. 12 a ustawy Prawo budowlane oraz przepisów ustawy o zasadach uznawania kwalifikacji zawodowych nabytych w państwach członkowskich Unii Europejskiej (Dz.U. z 2008 r., Nr 63, poz. 394).

Na etapie składania ofert weryfikacja powyższego warunku nastąpi na podstawie oświadczenia (Zał. Nr 2). Przed podpisaniem umowy wybrany Wykonawca przedstawi kserokopie dokumentów (poświadczone za zgodność z oryginałem własnoręcznym podpisem Wykonawcy) potwierdzające spełnienie warunku dysponowania projektantami branży drogowej, sanitarnej, teletechnicznej i elektrycznej wraz z opłaconymi składkami ubezpieczenia we właściwej Izbie Samorządu Zawodowego.

III. Termin wykonania zamówienia: 11.12.2015r.

IV. Warunki płatności: przelew 21 dni, od wpływu prawidłowo wystawionej faktury.

V. Kryteria oceny ofert:

Zamawiający dokona oceny ważnych ofert na podstawie następujących kryteriów: Najniższa cena=100%.

VI. Przygotowanie i złożenie oferty:

Ofertę należy złożyć w formie pisemnej (osobiście, listem – liczy się data wpływu do Urzędu Miasta) w siedzibie Zamawiającego (Kancelaria Urzędu Miasta) na formularzu ofertyzałącznik nr 1 do zapytania. Do formularza należy dołączyć:

  1. Oświadczenie o spełnianiu warunków udziału w postępowaniu (Zał. Nr2) (w szczególności dysponowaniu projektantami branży drogowej, sanitarnej, teletechnicznej i elektrycznej zgodnie z ustawą Prawo Budowlane oraz Rozporządzeniem Ministra Transportu i Budownictwa w sprawie samodzielnych funkcji technicznych w budownictwie wraz z opłaconymi składkami ubezpieczenia we właściwej Izbie Samorządu Zawodowego.

Oferta powinna być opakowana w jednej kopercie zaadresowanej na Zamawiającego i opatrzonej napisem: „Opracowanie kompletnej dokumentacji projektowej i kosztorysowej przygotowanej do uzyskania prawomocnej decyzji ZRID przebudowy ulic: Podstoczysko od ulicy Broniewskiego do ulicy Małkińskiej, wraz z ulicą Witaminową oraz na budowę kanalizacji sanitarnej i deszczowej.”

(Prosimy nie zamieszczać na kopercie nazwy i adresu Wykonawcy).

Oferty należy składać do dnia 20.07.2015r. do godz. 11.00.

VII. Termin i miejsce otwarcia ofert:

Otwarcie ofert nastąpi w dniu 20.07.2015r. o godz. 11.15, pok. Nr 103.

VIII. Kontakt z Wykonawcą:

Osobami upoważnionymi do kontaktu z Wykonawcami jest:

  1. w zakresie merytorycznym: Pan Paweł Mieczkowski, tel. (29)679-54-61
  2. w zakresie formalnym: Pani Marzena Grabowska, Pan Michał Kazimierski, tel.(29)679-54-33, zzp@ostrowmaz.pl

Zamawiający zastrzega sobie prawo do unieważnienia postępowania bez podania przyczyn. Z tego tytułu Wykonawcy nie przysługują żadne roszczenia. Zamawiający zastrzega sobie prawo zmiany treści niniejszego ogłoszenia (w tym zmiany terminu składania ofert) z uzasadnionych przyczyn (Wykonawca powinien regularnie odwiedzać niniejszą stronę BIP). Miasto Ostrów Mazowiecka nie może być pociągnięte do odpowiedzialności za jakiekolwiek koszty czy wydatki poniesione przez wykonawców w związku z przygotowaniem  i dostarczeniem oferty.

Załączniki:

1. Ogłoszenie o zapytaniu ofertowym PDF

2. Formularz Oferty (DOC, PDF)

3. Oświadczenie (DOC, PDF)

4. Wzór Umowy PDF

5. Szkic z lokalizacją proponowanej budowy JPG

Wytworzył:
Jerzy Bauer
(2015-07-10)
Udostępnił:
Kazimierski Michał
(2015-07-10 09:11:01)
Ostatnio zmodyfikował:
Kazimierski Michał
(2015-07-10 09:16:25)
       DRUKUJ TĘ STRONĘ Obrazek drukarki